5
$569,900 Sale
Listed 21 days ago
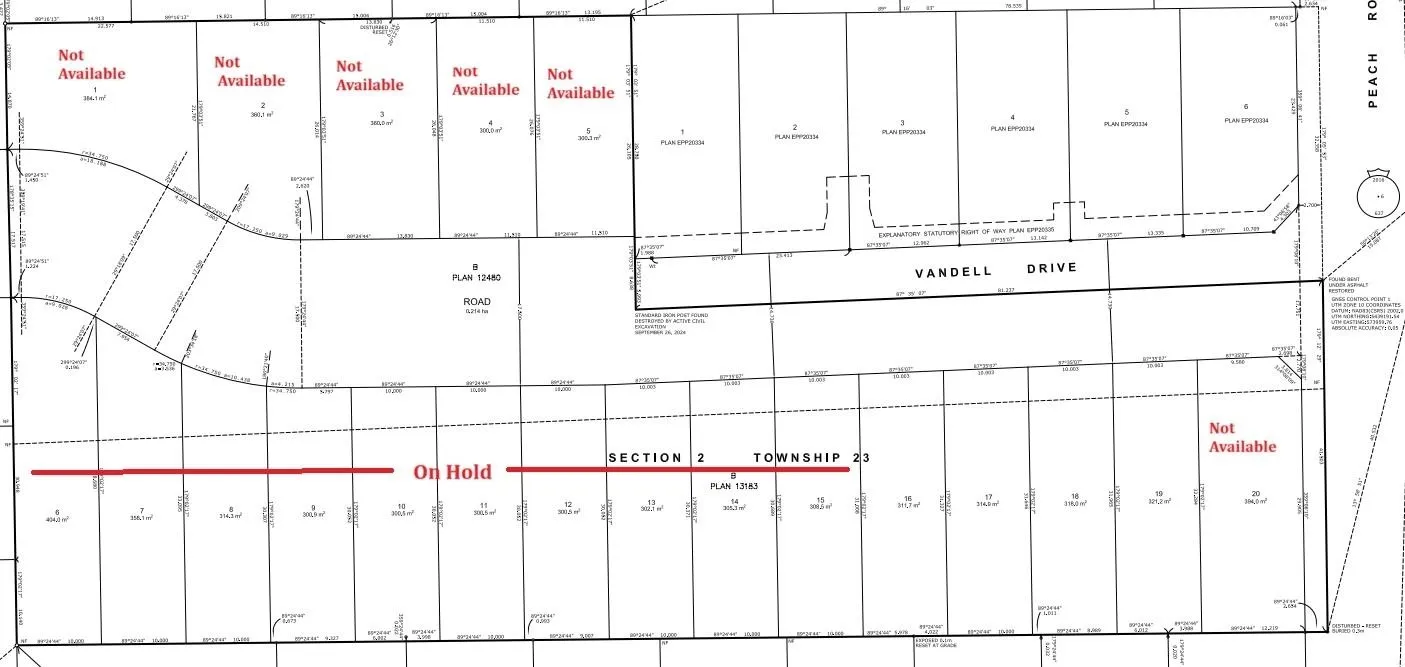
44702 Vandell Drive
· 0
· 0
· -
· -
Key Facts
Key facts for 44702 Vandell Drive
Property Type
Other
Parking
-
MLS #
R3053337
Size
-
Basement
-
Listed on
-
Lot size
3355.11 sqft
Tax
-
Days on Market
-
Year Built
-
Maintenance Fee
-
Description
PRICED TO SELL! A great investment to build on now or keep as a holding property. Just released for sale. Introductory pricing at $569,900. When lifestyle and location are a priority, the Gore Brothers lots on Vandell Drive check all the boxes. These limited lots are walking distance to parks, Ved...der River Rotary Trail, Vedder River fishing, Stitó:s Lá:lém Totí:lt: Elementary/Middle School, University of the Fraser Valley, and Garrison Crossing. The River’s Edge area has seen a steady increase in property values - being the most desirable community to raise a family or enjoy a well deserved retirement among nature. Live Life Optimally. NOT LEASED LAND.
Similar Properties (No results)
Courtesy of: Century 21 Creekside Realty (Luckakuck)